Nowoczesny ogród czyli rewitalizacja Ogrodu Jordanowskiego Nr 1


Kategoria
Projekty ogólnomiejskie
Nazwa projektu
Nowoczesny ogród czyli rewitalizacja Ogrodu Jordanowskiego Nr 1
Opis projektu
   Ogród Jordanowski Nr 1 jest jednym z nielicznych ogólnodostępnych ogrodzonych i nadzorowanych terenów sportowo – rekreacyjnych na terenie Starego Miasta. Niektóre urządzenia pamiętają jeszcze czasy poprzedniego ustroju. Większość urządzeń na terenie Ogrodu Jordanowskiego znajduje się w złym albo bardzo złym stanie technicznym. 
     Projekt zakłada rewitalizację infrastruktury sportowo – rekreacyjnej oraz małej architektury na terenie całego obiektu. Remontu wymagają również budynki świetlicy oraz wypożyczalni.  Pragniemy zamontować nowoczesne urządzenia które będą tworzyć plac zabaw, o którym dzieci marzą - plac które będą istną perełką w silnie zdegradowanym Starym Mieście.  Wszystkie urządzenie i elementy muszą być wykonane z zastosowaniem najlepszych technologiami i materiałów, przez co będą trwałe, piękne przez długie lata, odporne na warunki atmosferyczne i wandalizm.
  Wyposażenie winno dawać dzieciom poczucie niebezpieczeństwa i ryzyka, ale które nie tworzą w żaden sposób poważnych zagrożeń. Budzą fantazję, zachęcają do kontaktu z rówieśnikami, do pokonania nowych wyzwań i przede wszystkim do ruchu. Pomiędzy urządzenia zabawowe chcemy wkomponować atrakcyjną serię instrumentów muzycznych, zapraszających dzieci i dorosłych do wspólnego tworzenie muzyka na wolnym powietrze. 
 Pomiędzy licznymi w Ogrodzie drzewami chcemy umieścić również  figury z gumy które zapraszają do wspinania, interakcji i innych rodzajów zabawy. Figury budzą fantazję i umiejętności motoryczne.
Głownie widzimy potrzebę zakupu i montażu piaskownic,  huśtawek, zjazdu linowego, urządzenia wielofunkcyjne oraz stworzenia wokół nich stref bezpieczeństwa oraz bezpiecznych nawierzchni.     
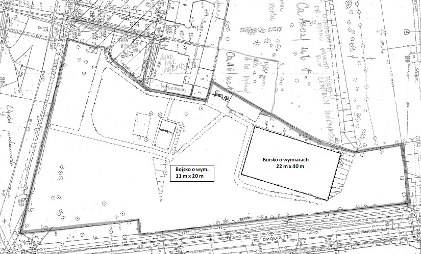
Równocześnie drugą część Ogrodu Jordanowskiego stanowią tereny sportowe, których nawierzchnia oraz ich urządzenia zagrażają osobom trenującym, dlatego wymagają one wykonania bezpiecznych nawierzchni. I tak boisko do piłki nożnej wymaga położenia nawierzchni ze sztucznej trawy o powierzchni 25 x 42 m oraz boisko do koszykówki wymaga nawierzchni z tartanu - powierzchnia 12 x 22 m. Oba boiska są intensywnie użytkowane stąd niezbędnym staje się ich ogrodzenie bandami, tak aby nie gra nie kolidowała z zabawami dzieci. Ustawić należy nowa małą architekturę tj. kosze na śmieci oraz ławki.

Natomiast wzdłuż ścieżki prowadzącej do siłowni zewnętrznej proponujemy zamontowanie kilku elementów ścieżki zdrowia.

Lokalizacja, miejsce realizacji projektu

Ulica, rejon ulic

Ogród Jordanowski Nr 1 położony jest w ścisłym Centrum miasta w pobliżu Placu Wielkopolskiego, a organiczny ulicami Działową i Solną.

Inne istotne informacje dotyczące lokalizacji

Inwestycja prowadzona byłaby na działkach należących do Miasta Poznań ark. 08 dz. 11/9; 15/11 i 15/12. Cały obszar jest w zarządzie Wydziału Oświaty, a bezpośrednio podlega dyrektorowi Zespołu Szkół Mistrzostwa Sportowego Nr 2. Położenie powoduje, że z urządzeń i terenów sportowych korzystają nie tylko mieszkańcy Starego Miasta, ale wielokrotnie spotykani tu są mieszkańcy innych dzielnic.
Potencjalni odbiorcy projektu
Ogród Jordanowski Nr 1 służy do zabawy i rekreacji wielu pokoleniem mieszkańców Starego Miasta i należałoby zapewnić taką możliwość korzystania z niego kolejnym pokoleniom młodych poznaniaków. Obiekt służy zarówno najmłodszym, jak również młodzieży i dorosłym oraz całym rodzinom. Wielokrotnie spotkać można korzystających którzy są mieszkańcami nie tylko Starego Miasta, tak więc beneficjentami są mieszkańcy całego miasta. W godzinach porannych z terenów rekreacyjnych korzystają również dzieci z pobliskich przedszkoli, a uczniowie z nauczycielami korzystają z boisk sportowych. Bardzo często pracownicy Ogrodu wraz z różnymi podmiotami organizują różnego rodzaju zajęcia plenerowe, spotkania i festyny. W tym roku ze środków RO postawiono zadaszenie sceny co chcemy wykorzystać do plenerowych koncertów dla dzieci. Stąd można powiedzieć, że przy ładnej pogodzie jest on wykorzystywany przez cały dzień w ciągu całego tygodnia.
Uzasadnienie dla realizacji projektu
Pragniemy zamontować nowoczesne urządzenia które będą tworzyć plac zabaw, o którym dzieci marzą - plac które będą istną perełką w silnie zdegradowanym Starym Mieście. Wszystkie urządzenie i elementy muszą być wykonane z zastosowaniem najlepszych technologiami i materiałów, przez co będą trwałe, piękne przez długie lata, odporne na warunki atmosferyczne i wandalizm. Wyposażenie winno dawać dzieciom poczucie niebezpieczeństwa i ryzyka, ale które nie tworzą w żaden sposób poważnych zagrożeń. Budzą fantazję, zachęcają do kontaktu z rówieśnikami, do pokonania nowych wyzwań i przede wszystkim do ruchu. Pomiędzy urządzenia zabawowe chcemy wkomponować atrakcyjną serię instrumentów muzycznych, zapraszających dzieci i dorosłych do wspólnego tworzenie muzyka na wolnym powietrze. Pomiędzy licznymi w Ogrodzie drzewami chcemy umieścić również figury z gumy które zapraszają do wspinania, interakcji i innych rodzajów zabawy. Figury budzą fantazję i umiejętności motoryczne. Dzieci aby zachęcić je do przebywania na świeżym powietrzu oczekują ciekawych interesujących interdyscyplinarnych miejsc.
Szacunkowy koszt projektu
Składowa projektu Koszt [w zł]
drobne elementy zabawowe, zjazd linowy, piramida linowa, urządzenia wielofunkcyjne, bezpieczna nawierzchnia na plac zabaw (60 m2) 306000
mała architektura 20000
boisko 25 x 42 m z ogrodzeniem oraz nawierzchnią z trawy syntetycznej oraz wyposażone w bramki i piłkochwyty 450000
boisko 12 x 22 m z ogrodzeniem oraz nawierzchnią z tartanu oraz wyposażone w kosze i siatki do tenisa oraz piłkochwyty 180000
prace remontowe w budynku świetlicy ( m.in. ubikacje) oraz budynku wypożyczalni ( m.in. dach) 37000
inne prace (wymiana ścieżek, wykonanie podjazdów, prace adaptacyjne oraz rewitalizacja zieleni itp.) 37000
SUMA: 1030000
Czy projekt generuje koszty utrzymania w kolejnych latach?
NIE
Kontakt do pomysłodawców
Dane niedostępne publicznie.
Dodatkowe załączniki
przykład boiska boisko.pdf
przykład zjazdu linowego zjazd linowy.pdf
wniosek ze zdjęciami urządzeń Ogr_d Jordanowski - wniosek 2016.pdf
plan terenu Ogr_d.jpg

Weryfikacja zgłoszeń

Wydziały
wydział wiodący - Wydział Oświaty
Projekt jest rekomendowany do realizacji - TAK
Kryteria zasadnicze (jeśli, któreś z kryteriów nie jest spełnione, projekt nie może zostać poddany pod głosowanie)
A. Zgodność z kompetencjami gminy - Czy proponowane zadanie znajduje się w kompetencjach gminy? - TAK
B. Zgodność z prawem lokalnym, a zwłaszcza z miejskimi planami zagospodarowania przestrzennego - Czy proponowane zadania jest zgodne z prawem, a zwłaszcza z zapisami miejskiego planu zagospodarowania - TAK
C. Zadanie przewidziane do realizacji w Budżecie Miasta - Czy proponowane zadanie jest już uwzględnione w Budżecie Miasta? - NIE
D. Lokalizacja - Czy własność gruntu umożliwia realizację projektu? - w przypadku projektów „miękkich” wpisujemy TAK. Jeśli wnioskodawca posiada zgodę właściciela gruntu do dysponowania nieruchomością, to również proszę wpisać TAK. - TAK
E. Inne kryteria uniemożliwiające realizację projektu
Proponowane zadanie nie spełnia wymogów w zakresie gospodarności (np. gdy podobny projekt w danej dzielnicy jest już realizowany i zadanie będzie go dublowało) - NIE
Teren, na którym ma być realizowane zadanie przeznaczony jest na sprzedaż lub inny cel? - NIE
Opracowywany jest plan zagospodarowania przestrzennego dla danego terenu, którego zapisy mogą być niezgodne z założeniami zgłaszanego projektu? - NIE
Trwają konsultacje społeczne dotyczące sposobu zagospodarowania danego terenu lub konkurs architektoniczny? - NIE
Projekt ma charakter komercyjny? - NIE
KRYTERIA DODATKOWE
1. Zgodność ze Strategią Rozwoju Miasta - Czy projekt jest zgodny ze Strategią? - TAK
2. Zgodność z Mapą Potrzeb Lokalnych - Czy projekt jest zgodny z Mapą Potrzeb Lokalnych? - TAK
KOSZTY
Koszt projektu - 1030000 PLN
Dodatkowe koszty - Czy projekt będzie generował koszty w kolejnych latach. - NIE
Ostateczny koszt projektu - koszt projektu + koszty eksploatacji (utrzymania): przy obliczeniu ostatecznego kosztu należy wziąć pod uwagę roczną trwałość projektu. - 1030000 PLN
Zespół Obradował w składzie dyr. Wydziału Oświaty Przemysław Foligowski, Wanda Musioł, Hanna Janowicz, Eliza Malarecka, Anna Rudawska, Ewa Gągało, Piotr Kurosiński, Radosław Paszkiewicz,
 
 
Rady Osiedli
Administrator Osiedla - OSIEDLE STARE MIASTO
Projekt jest rekomendowany do realizacji - TAK
Zespół Obradował w składzie Natalia Chojara, Mirosława Halilović, Kornelia Piotrowska, Marcin Liminowicz, Weronika Sińska
 
 

  1. Możesz wyrazić poparcie dla propozycji lub ją odrzucić.

  2. Możesz dodać ją też do listy obserwowanych.

  3. Zobacz informacje na temat propozycji...

  4. ...dodaj tagi dla tej propozycji...

  5. ...lub podziel się propozycją z innymi za pośrednictwem Facebooka, Google+ lub Twittera.

  6. Nie tylko możesz oceniać komentarze...

  7. ...ale też przejrzeć odpowiedzi na nie...

  8. ...odpowiedzieć na komentarz...

  9. ...i napisać nowy komentarz.

  10. Lub pracować nad propozycją i wprowadzać alternatywne wersje.